Skip to content

Γενικά

Ο σκώληκας των τεύτλων (Spodoptera exigua) αποτελεί πλέον σύνηθες πρόβλημα για τους καλλιεργητές λόγω της αντοχής του σε σχεδόν όλα τα εντομοκτόνα και της ικανότητάς του να αναπτύσσεται στην άγρια βλάστηση το καλοκαίρι. Είναι εξαιρετικά πολυφάγο και τρέφεται με φυτά που ανήκουν σε περισσότερες από 20 οικογένειες. Είναι ένα σοβαρό παράσιτο των θερμοκηπίων όπου τρέφεται με καλλωπιστικά φυτά όπως το χρυσάνθεμο, η ζέρμπερα, η τριανταφυλλιά και τα γλαστρικά φυτά. Τόσο στο θερμοκήπιο όσο και στον αγρό είναι ένα παράσιτο που πλήττει σοβαρά τις πιπεριές.

Βιολογικές λύσεις για Σκώληκας των τεύτλων

Φίλτρα:
Καθαρισμός φίλτρων
Εμφάνιση όλων Εμφάνιση λιγότερων
προϊόντα που βρέθηκαν:

Ερωτήσεις ή χρειάζεστε βοήθεια;

Επικοινωνήστε μαζί μας
  • Εύκολο στη χρήση
  • Ελάχιστη αντίσταση
  • Χωρίς χημικά κατάλοιπα
  • Χωρίς αναμονή πριν την συγκομιδή

Μάθετε περισσότερα για

Συμπτώματα προσβολής

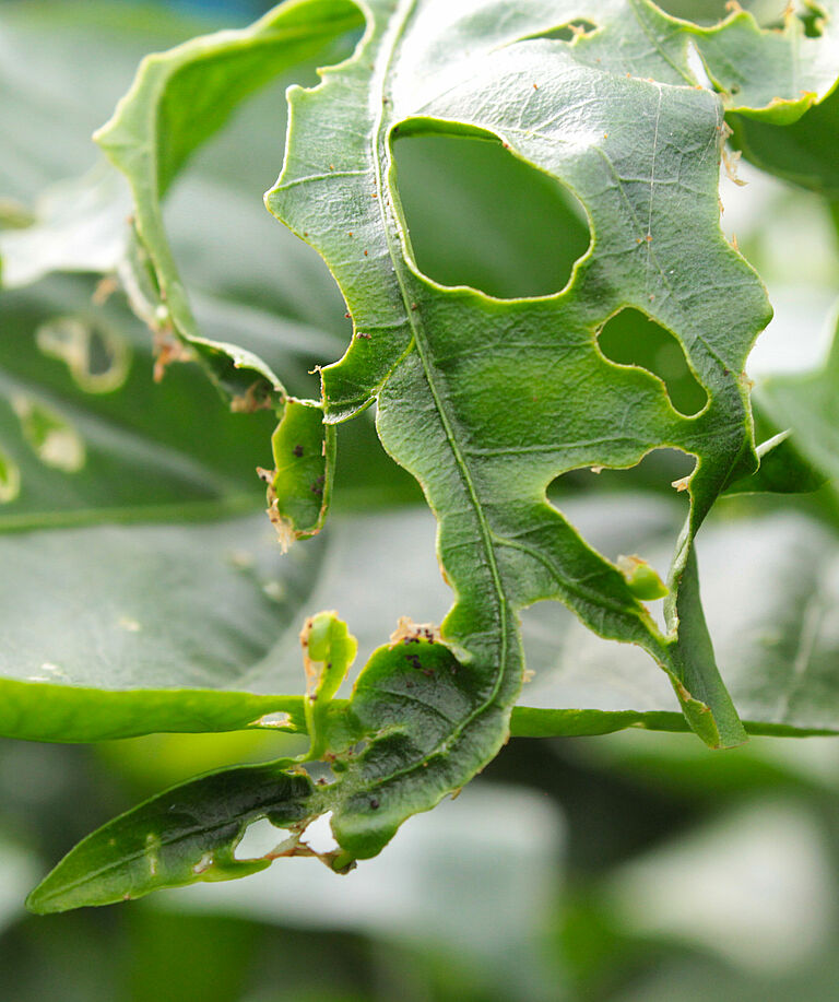
Οι μεγαλύτερες κάμπιες μετακινούνται προς την κορυφή του φυτού από όπου τρέφονται κυρίως στα αναπτυσσόμενα άκρα. Δημιουργούν μεγάλες τρύπες στο φύλλο, μερικές φορές απογυμνώνοντας το φύλλο μέχρι την κεντρική νεύρωση. Τρέφονται επίσης και με τα άνθη. Έντονη προσβολή έχει σημαντικές συνέπειες στην ανάπτυξη της καλλιέργειας. Σε μεγάλο πληθυσμό, η προσβολή μπορεί να εξαπλωθεί στους μίσχους και σε κάποιες περιπτώσεις ακόμα και στους καρπούς. Αυτό συχνά έχει ως αποτέλεσμα την ολική καταστροφή του φυτού. Στις καλλιέργειες καλλωπιστικών φυτών η χειρότερη ζημιά προκαλείται από τις επιθέσεις στα άνθη και στα μπουμπούκια.

Βιολογικός κύκλος και εμφάνιση του σκώληκα των τεύτλων

Ο σκώληκας των τεύτλων (Spodoptera exigua) κρύβεται κατά τη διάρκεια της ημέρας και είναι δραστήριο μόνο τη νύχτα. Τα μπροστινά φτερά είναι γκρι-καφέ με διάσπαρτα σκούρα καφέ ή μαύρα σημάδια. Το κεφάλι και ο θώρακας έχουν μαύρο χρώμα ενώ η κοιλιά είναι γκρι-καφέ. Τα μπροστινά φτερά είναι κιτρινωπά με ένα νεφροειδές σημάδι. Τα λευκά πίσω φτερά έχουν μια καφέ φλέβωση με σαφές περίγραμμα.

Ο σκώληκας των τεύτλων (Spodoptera exigua) εναποθέτει τα αυγά μαζικά, μερικές φορές σε πολλά στρώματα, πάνω σε μια μάζα από λευκές, βαμβακώδεις τρίχες από το σώμα της νυχτοπεταλούδας. Τα αυγά, συνήθως είναι γκρίζα αλλά μερικές φορές πρασινωπά ή ροζ, εναποθέτονται τη νύχτα, κατά προτίμηση χαμηλά στην καλλιέργεια στην κάτω πλευρά των φύλλων, σε ομάδες των 10 έως 250 αυγών.

Εκκολάπτονται μετά από αρκετές ημέρες και εμφανίζονται μικρές, κιτρινοπράσινες κάμπιες. Το χρώμα τους αλλάζει σταδιακά σε κίτρινο, πράσινο, καφέ ή ακόμη και μαύρο. Το χρώμα και το μοτίβο των καμπιών ποικίλλουν σε μεγάλο βαθμό και εξαρτώνται εν μέρει από το φυτό-ξενιστή, το στάδιο της ανάπτυξης και το κλίμα. Μια πλήρης ανεπτυγμένη κάμπια των τεύτλων (Spodoptera exigua) μπορεί να έχει μήκος 25 έως 38 mm, με σκούρες, ραβδωτές λωρίδες ραχιαία και μια κίτρινη λωρίδα κατά μήκος του σώματος εκατέρωθεν, πάνω από την οποία υπάρχει μια μαύρη βουλίτσα σε κάθε τμήμα.

Οι νεαρές κάμπιες ζουν σε ομάδες και δημιουργούν χαλαρούς ιστούς πάνω από τα φύλλα, κάτω από τα οποία παραμένουν μέχρι το τρίτο ή τέταρτο στάδιο. Οι μεγαλύτερες κάμπιες χαρακτηρίζονται από έντονη κινητικότητα και διανύσουν μεγάλες αποστάσεις. Ως εκ τούτου, οι κάμπιες από την ίδια συστάδα αυγών μπορούν να προκαλέσουν ζημιά σε διάφορα σημεία εντός της καλλιέργειας. Ο σκώληκας των τεύτλων (Spodoptera exigua) τρέφεται κυρίως τη νύχτα και κρύβεται κατά τη διάρκεια της ημέρας, παρόλο που σε πιο πρώιμα στάδια τρέφεται και κατά τη διάρκεια της ημέρας. Οι πλήρως ανεπτυγμένες κάμπιες μετακινούνται στο έδαφος και προετοιμάζονται για τη νύμφωση. Παρόλο που η νύμφωση μερικές φορές λαμβάνει χώρα στην καλλιέργεια, συνήθως πραγματοποιείται στην επιφάνεια του εδάφους μέσα σε ένα κουκούλι που αποτελείται από σωματίδια εδάφους κολλημένα με μια κολλώδη έκκριση. Οι νύμφες είναι καφέ, έχουν μήκος 15 έως 20 mm και μοιάζουν με αυτές των των άλλων νυχτοπεταλούδων. Μετά από πέντε ή δέκα ημέρες η νύμφη μεταμορφώνεται σε ενήλικο.

Χρειάζεστε βοήθεια;